
文章插图
可以看到溃烂得地方开始有明显好转 。皮肤病的那块也开始长出小毛毛来了 。。不过还是要继续用药 。
目前手法:早中晚双氧水清晰伤口,杀菌 。随后上药(金霉素药膏) 。配上医院给的:必需脂肪酸(nnd,花钱了,不吃浪费了)
中午开始给她用杀螨膏,和v霸的营养素 。。希望能有更明显的好转
day 5:

文章插图
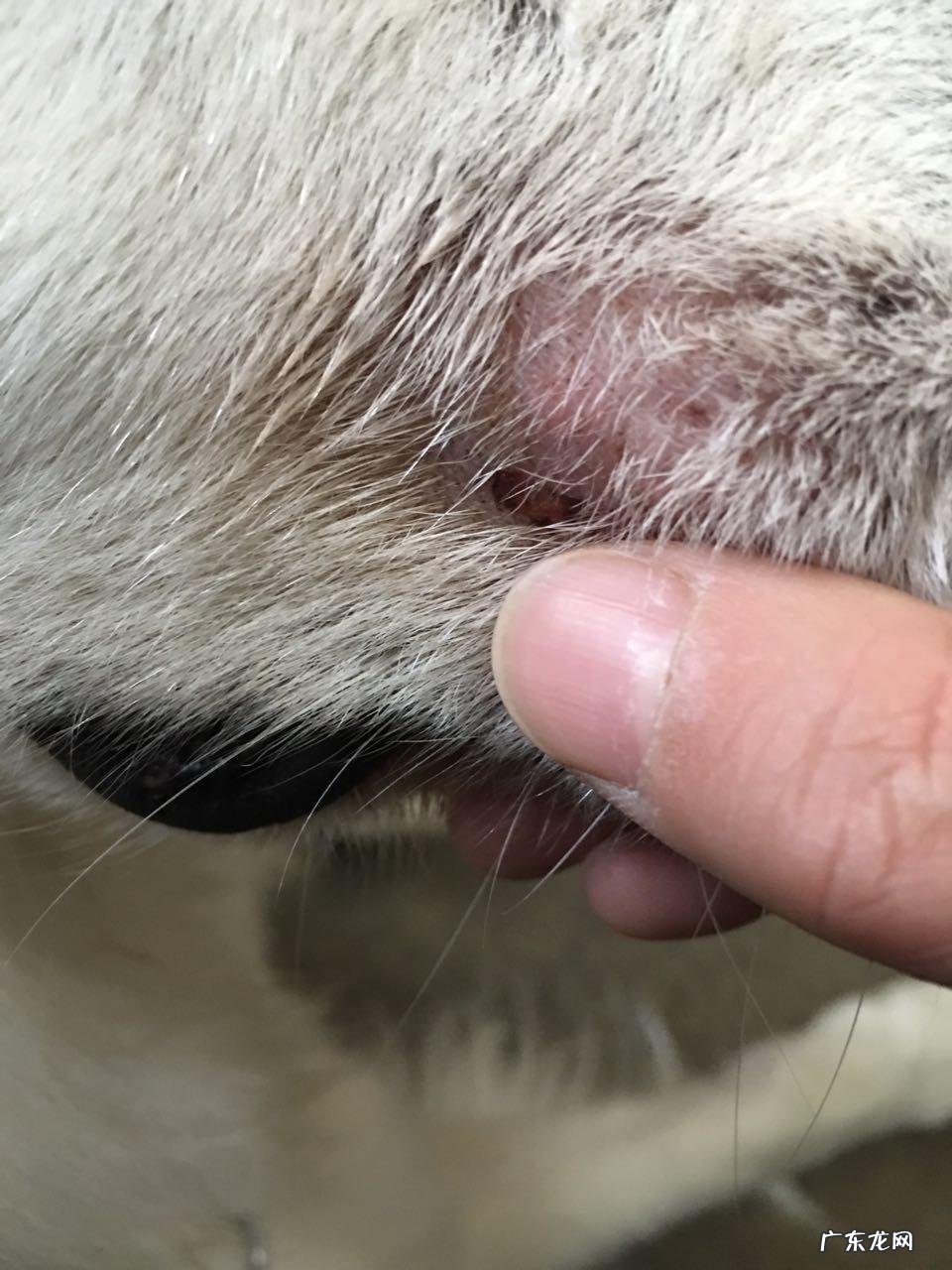
这姑奶奶昨天给挠了 。。。不过还好,伤口没有发炎 。皮肤粉嫩,没有红肿 。伤口处理方式依然是双氧水后+金霉素(今天早上加入了杀螨膏) 。。看着她在家里那么可怜,我就办了件傻事,带她玩飞盘了 。。结果结果结果!!!!姐们玩完了,伤口又有些发红,可能唾液弄的吧 。看来女神你只能在家乖乖呆着了!
其他药物都已经到齐了,就差加拿大的药片了 。。(如果下周还没有明显好转,我打算自己给女神打针了)亲爱的,不要恨我哦 。

文章插图

文章插图

文章插图

文章插图

文章插图
作者 铃铛宠物用户 3边妈妈 。laa总
- 常常出现的问题。 经常出现的问题。如何阻止牧羊犬的咬人行为
- 牧羊犬是甚么模样 牧羊犬是什么样子的
- 边境之旅新版本攻略
- 风水123 论坛 欧美佳苑风水如何
- 我国和多少个国家解决了边境
- 2021年生态文明贵阳国际论坛主题
- 风水大师新浪博客 新浪博客风水网论坛
- 边境线最长的省份
- 黑河是边境城市吗
- 瑞丽边境线长多少公里
特别声明:本站内容均来自网友提供或互联网,仅供参考,请勿用于商业和其他非法用途。如果侵犯了您的权益请与我们联系,我们将在24小时内删除。
